Działka usługowa 4130 m2 Facimiech koło Skawiny

krakowski, Skawina, Facimiech

730 000 PLN

Numer oferty36
Typ transakcjiSprzedaż
Cena730 000 PLN
Powierzchnia4 130 m2
Cena za m2176,76 PLN / m2
Przeznaczenieusługowa
Typ działkiusługowa
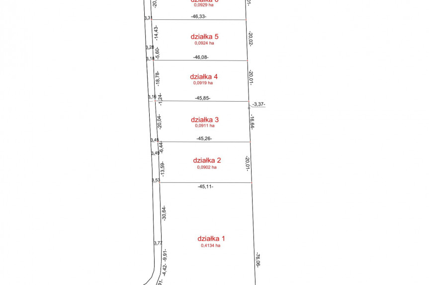
Szerokość75
Długość45
Typ ogrodzeniabrak
Typ drogipolna
Powierzchnia zabudowy60
Forma własnościwłasność
Prądpowyżej 100m
Wodaw drodze
Gazw drodze
Kanalizacjamiejska
SąsiedztwoBrak zabudowy w najbliższym sąsiedztwie.
Typ ogrodzeniabrak
Typ drogipolna
Działka usługowa 4130 m2 Facimiech koło Skawiny (krakowski, Skawina, Facimiech)

Na sprzedaż działka usługowa o powierzchni około 4130 m2, położona w miejscowości Facimiech, gmina Skawina ( możliwość dokupienia większej powierzchni). W miejscowym planie zagospodarowania przestrzennego przeznaczona pod zabudowę usługową. Podstawowym przeznaczeniem jest zabudowa usługowa z zakresu m.in.: handlu detalicznego i hurtowego (w tym składy i magazyny), hotelarstwa, gastronomii, obiektów biurowych, konferencyjnych i wystawienniczych, rzemiosła usługowego, turystyki i rekreacji itp. Nieruchomość ma bezpośredni dostęp do gminnej drogi gruntowej (z dwóch stron). Kształtem zbliżona do prostokąta o wymiarach około 45m x 76m x 96m x 50m. Teren płaski dobrze nasłoneczniony.

Media:

- kanalizacja, prąd, woda, gaz w drodze gminnej,( w odległości około 150 m).

Lokalizacja ( przybliżone odległości):

20 km od Krakowa,
8 km od Skawiny,
2 km od najbliższej szkoły i przedszkola
500 m do najbliższego sklepu,
400 m do przystanku autobusowego,
1 km do przystanku pkp ( Wielkie Drogi),
1 km do rzeki Wisły.

Link do lokalizacji google maps: https://maps.app.goo.gl/upQwvDiNYiDggw6w8
Współrzędne lokalizacji: 49°57'15.9"N 19°43'16.8"E
Identyfikator działki : 120611_5.0002.801/10


Treść niniejszego ogłoszenia nie stanowi oferty handlowej w rozumieniu Kodeksu Cywilnego.
krakowski, Skawina, Facimiech

Kontakt